Khu đất đấu giá có diện tích 2.258,2m2 tại khu đất Tinh dầu, khối 3, phường Vĩnh Trại, thành phố Lạng Sơn và có giá khởi điểm là 31,849 tỷ đồng. Tài sản trên đất có giá khởi điểm là 1,231 tỷ đồng. Tổng giá khởi điểm là 33,081 tỷ đồng. Giá khởi điểm của tài sản này chưa bao gồm lệ phí cấp Giấy chứng nhận quyền sử dụng đất, lệ phí trước bạ khu đất trúng đấu giá.
Khu đất được đầu tư xây dựng để hình thành khu dân cư mới có hạ tầng kỹ thuật, xã hội đồng bộ, hiện đại; kêu gọi và huy động nguồn vốn làm tăng giá trị khu đất, thúc đẩy kinh tế - xã hội phát triển; đáp ứng nhu cầu về nhà ở, đất ở, góp phần vào chương trình phát triển nhà ở của thành phố Lạng Sơn nói riêng và tỉnh Lạng Sơn nói chung.
Nhà nước giao đất có thu tiền sử dụng đất thông qua hình thức đấu giá toàn bộ khu đất theo quy hoạch được phê duyệt.
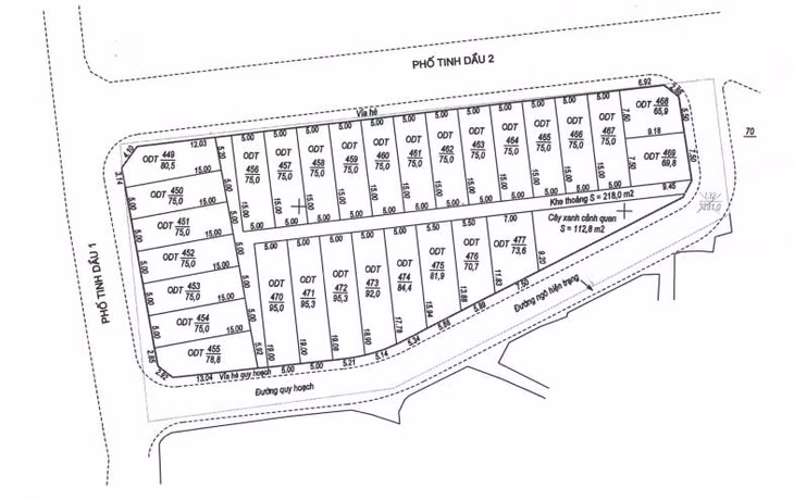
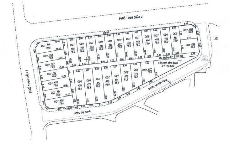
![]() |
| Sơ đồ khu đất đấu giá. Ảnh: Nhất An Phú |
Thời hạn sử dụng đất ở sau khi đấu giá quyền sử dụng đất là 50 năm kể từ ngày có Quyết định công nhận kết quả trúng đấu giá. Người mua nhà ở gắn liền với quyền sử dụng đất do tổ chức trúng đấu giá xây dựng được sử dụng ổn định lâu dài.
Đối tượng được tham gia đấu giá là tổ chức kinh tế (Nhà đầu tư), được thành lập và hoạt động theo quy định của pháp luật Việt Nam, có vốn pháp định theo quy định của của pháp luật kinh doanh bất động sản, Luật Nhà ở, có chức năng kinh doanh bất động sản. Nhà đầu tư thuộc đối tượng được Nhà nước giao đất, cho thuê đất theo quy định Luật Đất đai, có nhu cầu sử dụng đất để thực hiện Dự án đầu tư theo đúng quy hoạch chi tiết xây dựng được cơ quan có thẩm quyền phê duyệt; có khả năng về tài chính.
Các đối tượng đáp ứng quy định về điều kiện tham gia đấu giá, có nhu cầu tham gia đấu giá nộp đơn đăng ký tham gia đấu giá theo mẫu do Công ty Đấu giá hợp danh Nhất An Phú phát hành cùng các tài liệu quy định, trong đó có cam kết trả ít nhất bằng giá khởi điểm đã được thông báo, sử dụng đất đúng mục đích, đúng quy hoạch khi trúng đấu giá, hoàn thiện đầy đủ các thủ tục về hồ sơ và nộp tiền đặt trước, tiền mua hồ sơ của người tham gia đấu giá trong thời hạn quy định. Xét duyệt hồ sơ tham gia đấu giá đáp ứng các điều kiện và tiêu chí tham gia đấu giá vào ngày 24/8/2022.
Hình thức đấu giá bằng bỏ phiếu trực tiếp tại cuộc đấu giá, mở và công bố kết quả công khai. Thời gian tổ chức đấu giá vào chiều ngày 24/8/2022 tại Nhà Văn hoá khối 5, Số 2, Đường Chu Văn An, phường Vĩnh Trại, TP. Lạng Sơn, tỉnh Lạng Sơn.
